나팔링 투어가 끝나고 바로 호핑투어지로 이동한다.
호핑 투어지로 이동하는 차량은 60트럭 처럼 생겼다.
천장은 낮았으며 양옆과 뒤가 뚫려있는 차량이었다.
당연히 에어컨은 없었고 그래도 가는 거리가 멀지 않았기에 해당 차량을 타고 이동하는데 큰 불편함은 없었다.
 

현지인 가이드인 에롤 가이드는 작은 차량으로 이동하는 투어시에는 항상 자신의 오토바이를 타고 따라온다.
다른 패키지 현지 가이드들은 뭔가 마피아 상인 반면 이친구는 잘생겼고 친절했다.
항상 따라다니면서 사진도 잘찍어주고 고마운 친구였다.

호핑투어는 연안에서 배를 타고 이동한다.
먼 바다로 이동해야하다보니 처음에는 작은 배를 타고 이동해서 중간에 큰 배로 갈아탄다.
거의 해변가 같은데서 이동하다보니 큰 배가 해변에 정박할 수 없다보니 그런 것 같다.

역시나 보홀의 날씨는 맑고 바다는 푸르다.
깊이가 꽤나 깊어보이는 바다인데도 바닥까지 잘보인다.


어느정도 깊은 바다로 이동하면 에롤가이드가 사진을 찍어준다.


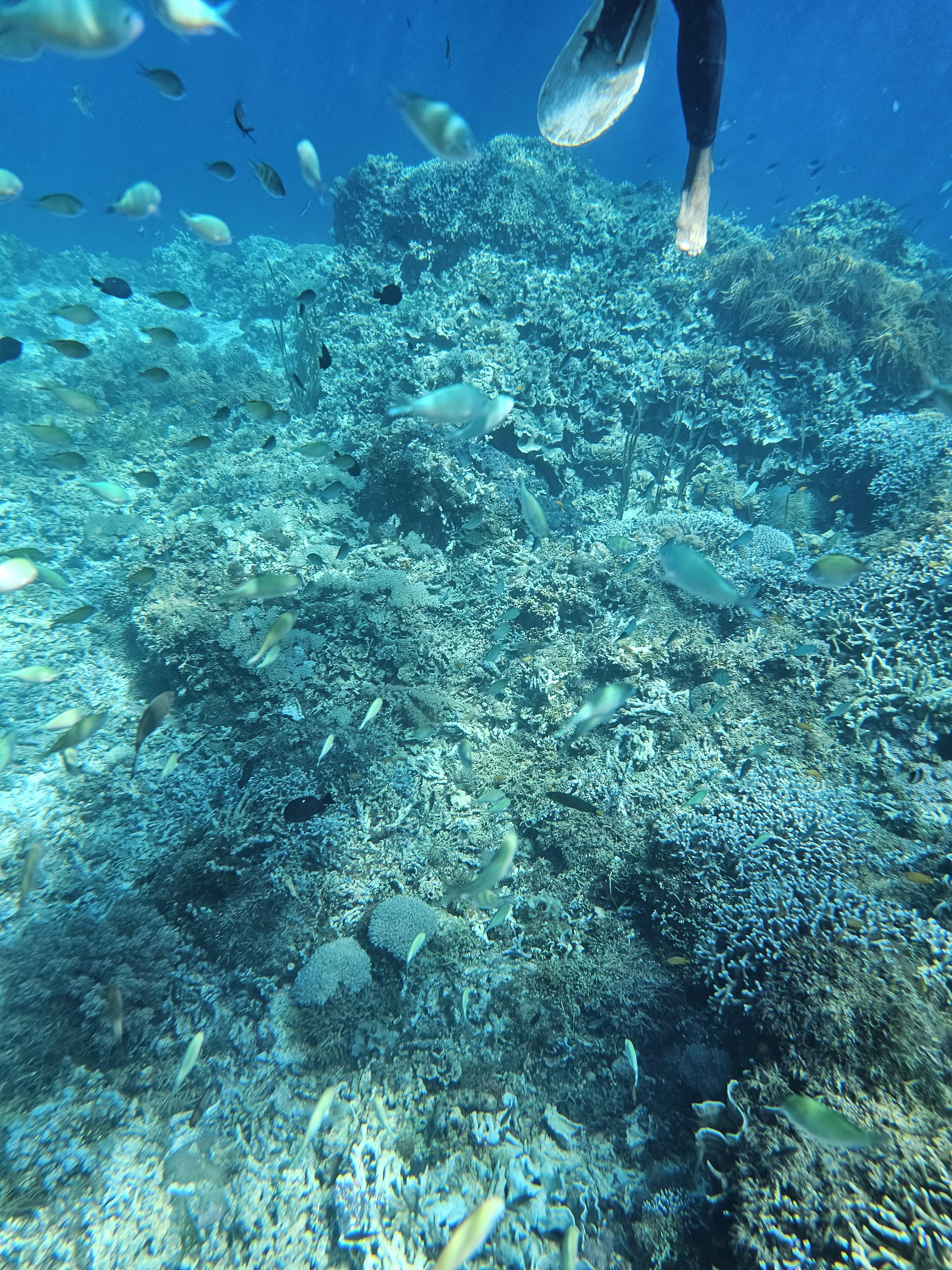
스노클링 포인트에 배를 정박하고 본격적인 스노클링이 시작된다.
정말 여러 종류의 물고기들이 눈앞에서 헤엄치는 모습을 볼 수 있다.
앞선 포스팅에서도 적었지만 보홀의 스노클링은 물고기 종류가 많고,
깊게 들어가지 않아도 심심찮게 흰동가리나 다른 물고기들을 볼 수 있다.
아무데나 카메라 들이밀고 찍어도 많은 물고기와 아름다운 산호들을 볼 수 있다.

자유롭게 물속을 구경하다가 호핑투어 직원이 불가사리를 잡아서 보여줬다.
저렇게 생긴 불가사리는 처음보는데 이거말고도 엄청 커다란 불가사리도 잡아서 보여줬다.

물에 들어가기 싫어하는 아이들은 가이드가 빵을 나눠주며 물고기 밥주기 체험을 한다.
이거라도 해서 그래도 심심해 하진 않았다고 한다.
만약 물에 들어가고 싶어하는 아이들이 있다면 현지 직원들이 튜브같은걸로 끌고다니며 구경 및 수영을 시켜준다.






현지 가이드가 패트병에 잡아준 니모(흰동가리)
물에 들어가지 않는 아이들을 위해 직접 공수해서 물고기 구경도 시켜준다.
현지 가이드들은 대부분 친절하다.




어느정도 스노클링을 즐기고 나면 다시 배에 올라타서 버진 아일랜드로 이동한다.
버진 아일랜드 근처에 배를 정박하고 포토타임을 갖는다.
여기는 모래가 매우 곱고 신기하게 아주 먼 섬인데도 불구하고 성당이있다.
성당에 들어가면 기부금을 내야한다고 해서 딱히 종교가 있진 않기에 들어가보진 않았다.



버진아일랜드를 끝으로 호핑투어는 마무리되고 점심으로 삼겹살을 먹었다.
필리핀 음식들이 딱히 맛이 있는 편이 아니다보니 수영도 하고 해서 삼겹살은 매우 맛있었다.
급하게 구워 먹느라 음식사진은 없고 추가로 시킨 맥주만 남아있었다.
'Life' 카테고리의 다른 글
| 디아즈 손목 교체 수술이란 무엇인가? (2) | 2024.08.27 | 
|---|---|
| 미국 출장 쇼핑리스트 (Feat. BlackHat 2024) (0) | 2024.08.25 | 
| [보홀여행] 필리핀 보홀 패키지 여행 3일차 나팔링 투어 (0) | 2024.05.10 | 
| [보홀여행] 보홀 패키지 여행 2일차 세번째 반딧불이 투어 (0) | 2024.05.08 | 
| [보홀여행] 필리핀 보홀 패키지 여행 2일차 두번째 (1) | 2024.05.07 |